After Ford government flip-flop, Peterborough must quickly decide fate of several proposed subdivisions
The province has backtracked on its land use changes. So what’s next for several key properties on the edge of town?

The Ford government’s reversal of its amendments to Peterborough’s official plan has thrown the city’s urban planning into uncertainty and given city officials a short timeline to decide whether housing development will be allowed on a number of key properties.
Official plans are overarching documents that map out how and where a municipality will grow over the coming decades. City council adopted Peterborough’s new official plan in November 2021 after years of public consultations to develop it.
The 2021 official plan committed to “encouraging increased intensification in built-up areas” to reduce the carbon footprint of development and make efficient use of the urban infrastructure that already exists in Peterborough. Before the plan was finalized, a land needs assessment determined that Peterborough had set aside enough land for housing through to 2051 and didn’t need to designate any more properties for residential development.
But in April 2023, the province imposed a number of non-negotiable changes to the official plan, including some to permit housing developments on the edge of town and outside the built-up area — exactly where the city had tried to restrict them.
Just six months later, Minister of Housing and Municipal Affairs Paul Calandra announced the province would reverse those changes to Peterborough’s official plan.
Calandra’s announcement came as the Ford government dealt with fallout from the Greenbelt scandal, where it was revealed that Greenbelt lands selected for housing development were owned by people who received “preferential treatment” from a key aide in the housing minister’s office.
Calandra said he ordered the reversal of official plan changes made by the province for 12 municipalities, including Peterborough, because the changes were not made “in a manner that maintains and reinforces public trust.” There had been “too much involvement from the minister’s office” in drafting the changes, Calandra said.
Ian Attridge, a local environmental advocate, told Trent Radio that Calandra’s backtracking was an effort to ensure “we’re not just doing planning for the private benefit, but for public benefit.”
Calandra gave municipalities 45 days to request revisions to their original official plans, which means Peterborough officials must now quickly revisit the plan and decide whether they want to revert to the 2021 version or make any changes to it.
It’s not yet clear how the city will proceed. The original official plan was adopted by a different city council under a different mayor.
Mayor Jeff Leal did not object to the provincial amendments and did not ask Calandra for the reversal, he told Currents. Leal said he and city staff are now “digesting” the implications of the province’s flip-flop and he expects a report from city staff on the matter soon.
In this article, we summarize what we know about five key properties whose land use designations were altered by the province, including what changes the province made, who asked for them, and why.
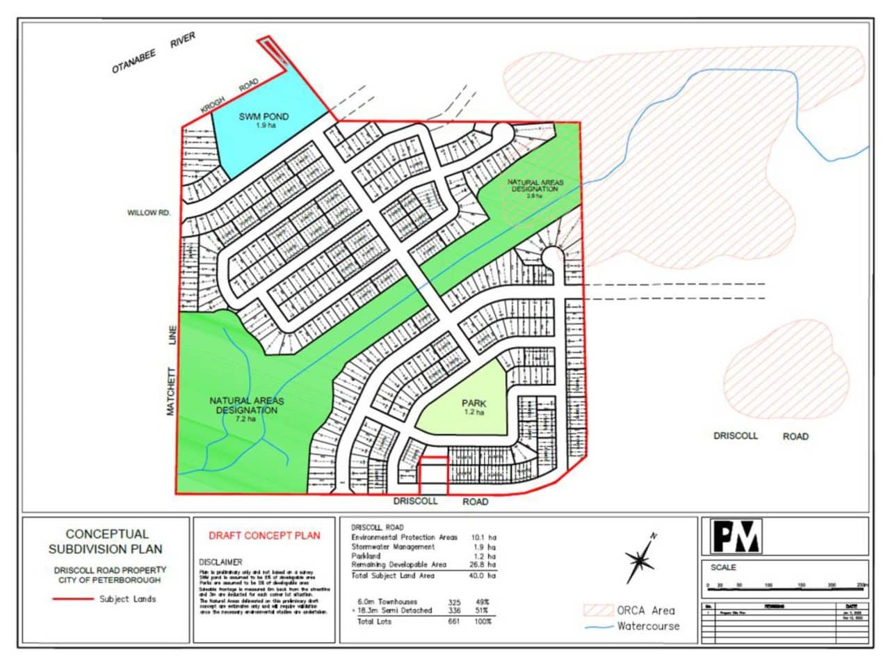
1694 DRISCOLL ROAD: Site was advertised as an $8.75 million “future development property” in 2022

Running along the City of Peterborough’s southernmost boundary is a 99-acre property that is currently home to a farm field with a creek that flows through the middle of it.
City planners intended to keep it that way. Peterborough’s 2021 official plan designated 1694 Driscoll Rd. as a Rural Transitional Area, which would have made it off-limits to most development until after 2051.
But the property’s owner — a numbered company known as 2565229 Ontario Inc. — asked the Ford government to step in and allow development sooner. A December 2022 letter from a planner hired by the company requested Ontario’s then-housing minister Steve Clark to “modify the City of Peterborough official plan in order that we can construct a total of 661 new housing units.” The letter was submitted during a public comment period and posted to the Environmental Registry of Ontario (ERO).
The Ford government listened. Its changes to the official plan included a new special provision to allow the construction of “approximately 700 new housing units” at 1694 Driscoll Rd.

2565229 Ontario Inc. bought 1694 Driscoll Rd. in 2017, taking out a $1.48 million mortgage to do so, according to land title records. Before the official plan changes, the company had been trying to sell the property. A brochure from 2018 advertised the site for $5.8 million. A later brochure from May 2022 advertised it as a “future development property” with an asking price of $8.75 million.
But it’s not for sale anymore. Stephen Connell, the property’s sales representative, said it was taken off the market “about a year ago.” When asked why, he said he’d “rather not comment.”
Land title and mortgage documents dated 2017 and 2022 identify the president of 2565229 Ontario Inc. as Domenic Carnevale. In February 2023, a Domenic Carnevale donated $2,830 to the Progressive Conservative Party of Ontario. Currents cannot verify whether these two names refer to the same person. The Carnevale listed as company president did not respond to multiple voicemails and emails from Currents to ask.
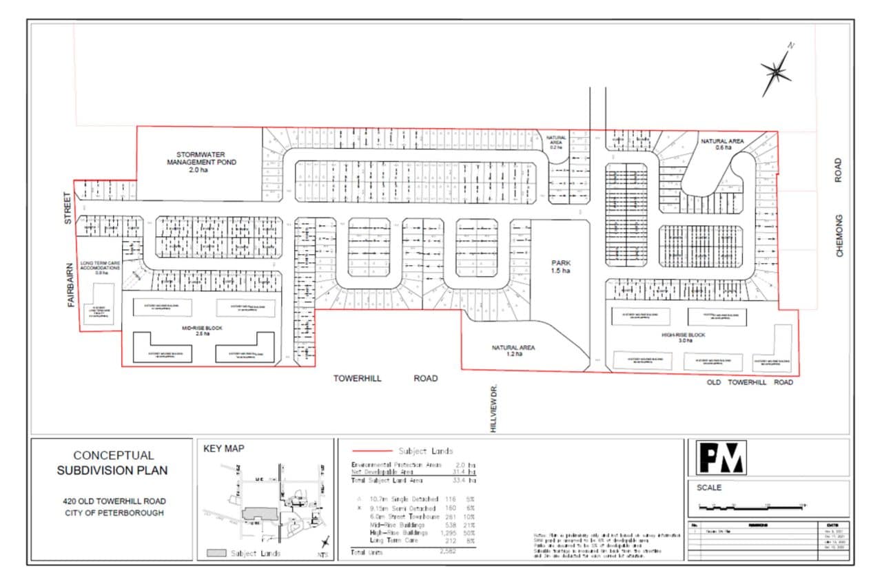
420 OLD TOWERHILL ROAD: Also appears to be controlled by Domenic Carnevale

A second Peterborough property caught up in the Ford government’s reversal of official plan amendments is also controlled by Domenic Carnevale, land transfer records suggest.
420 Old Towerhill Rd. is an 82-acre property located at the corner of Chemong and Towerhill that was already slated for housing development under the city’s 2021 official plan. But a planner for the company that owns the property wrote to Steve Clark asking the province to permit a high-density development of 2582 housing units.
Once again, the Ford government acceded. Its changes to the official plan included new special provisions stating that the property “may permit approximately 2600 housing units.”

According to land records, the Towerhill property was purchased by 420 Old Towerhill Road Inc. in November 2021. At the time, Domenic Carnevale signed on behalf of the company.
Carnevale is also listed as the owner of Davenport Construction, a company that shares a Woodbridge, Ont., address with the company that owns the Driscoll property. Currents reached the office by telephone, but Carnevale did not respond to our voicemails, emails, or messages left with a secretary.
TRENT LANDS: University wants more freedom to develop campus
Trent University is another big Peterborough landowner that took issue with the city’s official plan and asked the province to intervene.
The official plan had originally restricted development on some sections of Trent’s 1,400-acre campus in the city’s north end. In a January 2022 letter to the province, Trent’s planning consultants stated that those restrictions “could impact the continued success” of the institution. Trent’s consultants submitted the letter during a designated public comment period.
Trent completed its own plan for campus land use in early 2021 called the Trent Lands and Nature Areas Plan (TLNAP). Several components of the city’s official plan “do not align” with the TLNAP, the letter stated.
One measure that irked the university was the designation of some pockets of the campus as Rural Transitional Areas, making them off-limits to most development for decades. “None of the University’s lands should be designated Rural Transitional Area,” Trent’s letter stated.
The province agreed to that request from Trent when it lifted development restrictions on Rural Transitional Areas city-wide. But it turned down another request the university made.
Some parts of a swathe of property known by the university as the “Peninsula Lands,” were designated in the official plan as “Major Open Spaces,” making them undevelopable. The university took issue with that, arguing that the Peninsula Lands have “consistently been identified as a development opportunity as a northern gateway to the City and to provide much-needed housing.”

University administrators are now grappling with what the province’s reversal to its official plan changes will mean for Trent’s lands.
“It is not clear what the implications might be arising from the province’s plans to introduce legislation that could reverse official plan decisions for several municipalities,” a spokesperson for Trent wrote in a statement to Trent Radio shared with Currents. “We will continue to present the Trent Lands Plan as our official intentions for our campus and advocate for policies that permit us to advance this plan.”
BROOKFIELD PROPERTIES: A subdivision straddling Peterborough’s westernmost boundary?
Peterborough’s attempt to restrict development on greenspace along its urban boundary also irked the multinational development and property management giant Brookfield Properties.
Brookfield owns almost 400 acres of farmland straddling either side of Peterborough’s western boundary with Cavan-Monaghan Township, according to a letter the company submitted to Steve Clark in December 2022. The letter was submitted during a designated public comment period and later posted on the ERO.
The majority of the land is within Peterborough County, but some falls inside city limits along Brealey Dr. and Airport Rd. Since 2011, Brookfield has been trying to turn one of its properties there into a subdivision that would sprawl between the county and city, according to the letter. But Peterborough’s 2021 official plan restricted development on Brookfield’s city properties until after 2051.

In the letter, Brookfield’s solicitors asked Clark to reverse the city’s restrictions and allow development on the lands sooner to help tackle the housing crisis.
The letter stated that freezing development on Brookfield’s properties “is entirely inconsistent with the province’s stated intention of constructing 1.5 million homes over the next 10 years to address Ontario’s housing crisis.”
A planner for Brookfield also wrote to Peterborough city council about the company’s concerns in November 2021. In that letter, Brookfield’s planner argued the city was trying to accommodate too much future growth in high-density apartments, rather than single-detached and semi-detached homes. This may have led the city to “under-estimate” how much land it would need to accommodate population growth until 2051, the letter stated.
“The assumptions regarding the housing mix in the land needs assessment are also of concern because many of the singles and semi’s that would typically have been constructed have been shifted to apartment units,” the letter stated.
The Ford government’s official plan changes did away with the restrictions on Brookfield’s land, opening the door for the company to build housing there. Now that the changes have been reversed, the city must revisit its original restrictions on the properties.
THE COLDSPRINGS PLANNING AREA: Swapping employment lands for housing

On January 1, 1998, the City of Peterborough annexed about 700 acres of land south of Highway 7 from Otonabee Township. It’s called the Coldsprings area.
The land has yet to be developed. But AON Inc., which owns large swathes of the Coldsprings land, has wanted to build a residential subdivision there for over a decade.
As the city finalized the official plan in 2021, its land needs assessment process concluded that there is plenty of land within the urban boundary set aside for housing. What’s missing, the study suggested, was land set aside for employment uses. So councillors voted to designate some of the Coldsprings area for employment uses in the official plan.
That decision raised eyebrows among Otonabee-South Monaghan township councillors, who forwarded concerns to the city. A township staff report stated that an employment designation for the land “is not feasible, justifiable, and has several constraints.”
It didn’t sit well with AON’s president Brad Smith, either. During the public comment period, he submitted a letter to Steve Clark arguing that the area is “not suited to employment use” and that the business community would prefer employment lands to be located west of the city, which would require an expansion of municipal boundaries. AON warned that if its Coldsprings properties remained designated for employment use, the land may go undeveloped entirely until the next official plan review.
The province sided with AON. It removed parts of the official plan that designated the Coldsprings area for employment uses, freeing AON to continue planning a subdivision there.
Since then, Mayor Jeff Leal has sought a deal with Peterborough County that would establish employment lands elsewhere through an expansion of Peterborough’s current municipal boundaries. But he has so far failed to fulfill his election promise of reaching a quick deal, leaving Peterborough’s lack of employment lands unresolved.
Now, the province has reopened Peterborough’s official plan, throwing Leal and the city a curveball. Will they revert to an employment designation for the Coldsprings area?

